
![]()
|
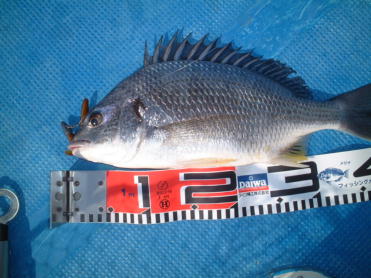
ヒロ爺の船外機のチルトが故障・修理が終わって久々の梅雨の合間に
キス釣りに出てみました。7月4日10時〜12時までの釣果は?
3番鉄橋より南は雨の濁りも影響なくチョッと食い渋りを見せるが
良型のキスが釣れておまけに小さな本コチも1匹!
22cm〜18cmを18匹の釣果で今夜はキスフライです
風の釣り師
ヒロ爺
|
|---|
![]()
|
5月22日(土曜日)可美のNさんよりメールが入る。女房が事故に合い今夜行かれない。と携帯に入ったが詳しくは記してない。
「落ち着いたら知らせて」と返信して、城北のSさんと釣行!
いろいろな事がある。人生も釣りも・・・と思いつつポイントに船を向けると先客がいる。(ヒロ爺の釣り場所ではルアーを振る人はあまり見ないが)10m前で止めて流しはじめる。1流しで、来た!ラインが気持ち良く鳴って出る。
タモ入れは自分でやり61cmが釣れて、血抜きして先方の船を見るとどうも見たことある船。豊橋のNさんと、Rちゃん??携帯を入れるとやはり2人だった。Nさんの船に横着け、釣れた魚を見せる。(アタリはあったが釣っていない)との事だった。
別れて違うポイントに移動。潮が動かずアタリも皆無で城北のSさんシーバスの感覚も忘れてしまうヨと嘆いたが無釣果で終わってしまった。
次回のリベンジを誓って!!
風の釣り師
ヒロ爺
|
|---|
![]()
|
前回の土曜日(5月1日)は城北のSさん・可美のNさんの3人で釣行
可美のNさんの一人舞台シーバス62cmを頭に3匹を釣られてヒロ爺と
城北のSさんは坊主だった。
今回は(5月8日)先日の仇打ちと同じメンバーで出漁!長潮で下げの潮がユックリと流れる。5〜6投目にヒロ爺の竿が大きく曲がりチーと糸が引き出される。(大きい!)船べりで力強い抵抗に合い黒鯛かと思いながらタモ入れしたのは体高のあるデブデブのシーバス先日と同じ54cmだった。
今夜は釣れると期待したのは夢破られて流れ藻に邪魔されて思う釣りがさせてもらえずSさん・Nさん無釣果に終わってしまった。
風の釣り師
ヒロ爺
|
|---|
![]()
浜名湖で釣れた魚を募集しています。どんどん投稿してください。釣れた日、サイズ、コメントも添えてくださいネ。
|
庭のコテマリの花が今年も満開に咲いています。
これが満開になるとシーバスが釣れる。
父親が92歳で他界して、喪に服す意味で釣り活動を
中止していたヒロ爺ですが、4月28日やっと開放されて
出漁してみました。
大潮でヒロ爺のポイントは午後8時にやっと潮が止まり
下げ潮に変わると同時に連続ヒット!チョッと小さいが44cm・41cm
アタリは頻繁にあったのですが、フッキングに持ち込めませんでした。
2010年初釣りの釣果を送ります!
風の釣師(親父が死んで格上げ)
ヒロ爺
|
|---|
![]()
浜名湖で釣れた魚を募集しています。どんどん投稿してください。釣れた日、サイズ、コメントも添えてくださいネ。
![]()
|
栃木県のKさん「浜名湖何が釣れていますか?」今期も来浜する。
ヒロ爺今年はヒラメにはまっていると伝えると是非・是非連れて行ってくださいと10月15日ヒロ爺の休みに合わせ夜勤明けに新居駅に10時合流して速攻、
船を出す。
Kさん流しは初めて・・竿・仕掛け・すべてヒロ爺の準備で3番南へ、下げ潮流れが少し速いが2流し目でヒロ爺に来た!浮かせてKさんに「タモを見せずに一気に頭からすくって」と言うと本当に1発で決めてくれた。50cmジャストのヒラメにKさんやる気満々だったが、その後頭だけ残ったり半分かじられたりでのってこない。
Kさんやっとアタリを捕らえたが釣れてきたのは30cm以下のソゲ!でも坊主は免れたと・・・Kさんの初ヒラメはこれで終わった。夜勤明けでの短い釣りだったがKさんの釣りに対するセンスは抜群かも??
風の釣人
ヒロ爺
|
|---|
![]()
|
またまた平目!ヒラメにはまっているヒロ爺です。
9月27日(日曜日)可美のNさん41cmのヒラメ初釣果!良かった。ヒロ爺もその日1匹10月1日(木曜日)沖つりばかりの笠井のBさん、歳と共に沖つりも疲れると浜名湖の釣りをやりたいと言われキス釣りに・・・流して釣る内ヒロ爺キスの餌で流し43cmのヒラメそれをみたBさんビックリしてた。
次回は私もヒラメを釣りたいと云われてしまう。
10月4日(日曜日)九州から帰ったSさん、可美のNさん3人での釣行です。
ヒラメに坊主がないヒロ爺、先日初ヒラメだったNさん今日も釣りました。37cmのヒラメ。そして、Sさんとヒロ爺同時に掛けた!Sさんタモいれ直前にバラシ。ヒロ爺タモ入れ成功54cmの厚みのあるヒラメをまたまた釣りました。
そして、44cmのコチもおまけ!皆にあたり頻繁にあったが食い込み悪くスッポ抜けで・・・・熱くなる釣り日でしたが、来週は台風も心配されるし連荘釣りは出来そうにありませんので、報告を兼ねて投稿写真館へ・・・
風の釣人
ヒロ爺
|
|---|
![]()
|
またまた、平目でスイマセン!
17日〜27日まで九州の実家に帰郷している釣友Sさんへのメッセージを込めての投稿です。九州の地で沖さんのホームページを開くと言っていたSさん向こうで釣り三昧との事です。
可美のNさんと9月20日今日はヒロ爺の船で釣行!下げ潮が遅いので9時に係留場で合流のんびり冗談を言いながらの釣りです。
今頃九州の波止でアジを餌に泳がせ釣りしてるだろうSさんに負けないように平目釣ろうと・・・でも、今日もヒロ爺の竿が曲がる!48cmゲットそして小さい平目も・・・・考えてしまうNさん仕掛けはシンプルにと何度もアドバイスしているのに懲り過ぎです。今日も(お寺・和尚・坊主)可哀想だね
リベンジを誓う可美のNさんと新居駅で別れたが喜べないヒロ爺がいました。
風の釣人
ヒロ爺
|
|---|
![]()
|
今回も平目の投稿です。
可美のNさんよりメールあり、ハゼ30匹あるけど、取りに来ますか?仕事帰りに可美まで廻って取りに行く。これで休みの餌が確保できたので、衣装缶に入れて生かしておく。
9月17日(木曜日)ヒロ爺の休日です。ハゼ15匹をもって1人で釣行!3番南は1杯の船もなく貸し切りです。1流し目でコチが竿を曲げる。今日は最高!と思ったが後が続かない。
流れも速い。諦めて北へ上がる。そして待っていた平目が・・・・Uガイドを付けたヒロ爺の手作り流し竿3mがまん丸になり少しずつ浮いてくる。竿の曲がりを見て走行中の船が止まったが、なかなか浮かせられないので見ずに行ってしまう。
やっと見えた。突っ込まれる。何度かのちにタモ入れ。検寸すると58cmだ。
60cmあると思ったが残念!可美のNさんに携帯でのメール入れて納竿
これ1匹で今日は満足。帰途につく。
風の釣人
ヒロ爺 |
|---|
![]()
![]() |
久し振りの投稿です。今日は9月6日大潮廻りの中潮で、釣友の船で平目・コチを狙っての流し釣りです。
餌は先日の休日にヒロ爺が、奥浜名湖の陸っぱりでウキ釣りで釣った子ハゼを持って・・・・城北のSさんも久し振りの流しで気合が入る。
天気も、潮もいいのか3番鉄橋南には数杯の船が流していた。通称流しラインを流すと直に45cmのコチが竿を曲げる。
2匹目は平目だ!41cmで女房から携帯が鳴る。「孫が来てるが刺身になるのが釣れましたか?」孫が大好きな刺身、この2匹で充分かな?と思いつつ潮の流れが早くなって3番北へ移動・今度はSさんに39cmの平目が釣れる。
そして、ヒロ爺も小さなコチを追加して納竿。孫の待つ家へ直行しました。
風の釣り人
hiro |
|---|
![]()
|
梅雨に入って晴れていた空も今日からは梅雨らしくなると言う!6月20日(土曜日)午後7時30分新居駅で合流。
今夜は豊橋の女性釣り師Rちゃんを加えて4名で釣行。先日のリベンジの城北Sさん豊川Nさん張り切っていたが、心がけ悪いのか雨が少し落ち始め東風が強い。
風の中根性でと出船下げ潮の潮に乗れずとんでもない方向に船が行く、それでもヒロ爺4投目でヒット41cmの小型をゲット!皆やる気になるが思ったようにルアーが投げれない。そして、Sさんに来たが、フックアウト?付いてないね
風が少し避けられる所に入ったと同時にまたまたヒロ爺に今度は少し大きいなと、寄せて自分でタモ入れ57cmだった。
そして、黙々と投げていたRちゃんの竿が曲がる。さすが豊橋女性釣り師だ!
45cmをヒロ爺がタモ入れした。これを境に雨が本降り本日の納竿となりました。
風の釣り人
|
|---|
![]()
|
ヒロ爺の休み前後が、雨とか強風しばらく釣りに出れない日が、続きストレス溜まる。そんな中、久し振りに城北のSさん。可美のNさんより釣りに出ようとメール・6月13日(土)本当に久し振り3人そろった。
西風が少しあるが何とか釣りは出来る。気合を入れて投げ込むが反応なし。
今日の潮変わり(下げ潮)は遅い。でも、久しい釣りだけに誰もが終わろうと言う人がなく時間が過ぎて、潮が鈍くなったと同時にNさんヒット!小さいが41cmをゲット。そしてヒロ爺に43cm、Sさんにも・・・しかし痛恨のバラシだ
アタリがまた遠のく、ヒロ爺ペンシルに交換・何投目かにガバッと出たのは44cmの黒鯛だ。元気いっぱいのまるまる肥えた黒鯛の引きは満足でした。
そして、可美のNさん好調で48cmゲット、段々大きくなるネと言っているところヒロ爺にも50cmが、これも元気いっぱいで60オーバーと思わせる引きだった。
3人の釣行はなぜか、犠牲者がでる。ヒロ爺黒鯛入れて3匹・可美Nさん2匹城北Nさん無釣果に終わる。Nさんリベンジ誓って別れました。
風の釣り人
ヒロ爺
|
|---|
![]()
|
6月12日シーバス狙いで日没後に出船。
昼間の風もおさまり、三番筋へ。
魚の気配はあるものの、潮が濁っている
せいかイマイチ反応が鈍い。
3度目のバイトのあと、やっとフッキング。
42センチのシーバスをゲット。
それから少しあとに、しっかりとしたアタリ!!
チョット重たいがエラ洗いせず・・・
漁多1を丸呑みしたクロダイでした。
自己最高の48センチです。
ルアーには歯型とひび割れが・・・
クロダイのパワーを再認識です。
その後の反応はあまり無く、27センチの
チーバス君でおしまい。
最近大型クロダイが釣れているので
私も釣りたいなぁ〜と思っていましたが、
ポッパーではなかったものの、大型クロダイ
が釣れてよかったよかった。
by鈴木隆之
ps.今回写真に文字を入れて見ました。
|
|---|
![]()
|
5月20日、今夜は風もなく最高のシーバス日和です。潮は若潮で少し気になったが下げ潮には変わりなく期待をもってポイントへ・・・
最初はゴミが掛かり釣りにくいが徐々に流れの速さも良くなったと思ったら1匹がヒットなかなかのファイトで53cmを釣る。ヒロ爺最近の釣果は毎回1匹それも40〜50cm位で投稿するのも迷う。
そして、鏡のような湖面でゴボッと大きな音と同時に強烈な引きが来る。
久し振りに大きいナ・・・・慎重にやり取り巻いたラインがチーと出される。何度か出された後にやっとタモ入れヤッタね!75cm!今期もこれでT君を超えた
新居駅で他の釣り人にお会いして釣り談義。キビレ釣りをやっておられると言う浜北の?さん投稿写真館をいつも見ているとの事でしたのでこの面をお借りして今度お会いした時ヒロ爺のキビレポイント詳しく書いていきます。
風の釣り人
ヒロ爺
|
|---|
![]()
|
5月8日(金)と9日(土)の夜、
シーバス狙いで出船したので報告します。
金曜夜は風が強く釣りづらかったが何とか1本ゲット。
土曜夜は風も無く釣りやすかったがクロダイをゲット。
先日までの雨の影響でゴミも多く、ルアーには藻が
非常に多くひっかかりました。
5/8:シーバス41cm(trip85)
5/9:クロダイ35cm(漁多1)
三番航路
by鈴木隆之
|
|---|
![]()
|
4月18日、息子が部活を終えて帰宅後出船しました。
最初のうちは反応なく、A航路へ移動。
途中からポッパーを使っていたマー君に
突然シュポッ!!っとポッパーを吸い込む音。
うれしい一匹が釣れました。
サイズは少し小ぶりの42センチ。
私は今回報告するものありませんので
今度に期待します。
|
|---|
![]()
|
|
4/10ナイトシーバスに釣友と出船。
今期初出船です。
昨年の釣果を期待し三番筋へ・・・。
ポイントに到着。海はベタ凪ぎで下げ始めの状態。
最初は10センチのミノーでやっていたが反応しぶく
漁多1にルアーチェンジ!!
藻の多さに苦戦しながら、何とか3本ゲットです。
サイズは42〜52cmでした。
釣友はバイトがあったもののゲットならず・・・。
もうすぐ5月5日のこどもの日なので
写真は鯉のぼり改め“シーバスのぼり”にしてみました。
コンディションが良ければ出船ですね^^v
by鈴木隆之
|
|---|
![]()
![]() |
はじめて投稿させてもらいます
昨年夏よりキビレ釣りに”はまり”今年も一緒に付き合ってくれる”友人” ← これもまた釣りバカさん達(*^_^*)
と夜な夜な釣行しています
そんな4/9(木)三番航路付近での出来事です
キビレとはちょっと違う感じのまったりとした、でも確実に大きなアタリが3回あり念の為に送り込みをすると・・・
あきらかに手に伝わるものすごい生体反応!!
おもいっきり合わせると”ドスン”って感じの手ごたえ!!
あまりのまったりとした重たい手ごたえに友人達にも”うわ〜こりゃエイだぜ〜”と言いながらもドラグは”ギーギ-”
唸っています!!
ちょっと期待しつつ・・・そして格闘の末上がってきたのは・・・
なんとクロダイの51a(2`)でした!(^^)!
昨年のキビレ40aの自己記録を大きくサイズアップ(^v^)
友人達はもちろん自分も50a以上の魚を目にするのは初めてなもので・・・
ぶっちゃけ”でかすぎてきもい”って思っちゃいました(;一_一)
いつかはキビレの2`オーバーを夢みてこれからも友人達と浜名湖に繰り出しまっせ〜〜
by 鈴木
|
|---|
| 投稿ありがとうございます。2Kオーバー目指して頑張りましょう by 店主 |
|---|
![]()
|
庭のコテマリの花が咲き始めました。4月8日久しぶりにT君との釣行です
仕事を終えて2人は仕事着のまま浜名湖へ
中潮の下げ潮・T君が大好きだと云う潮の流れ、先日73cmを釣ったT君は意気揚揚と「今夜は釣るぞ」と意気込む!最初に釣るのは誰か?やっぱりヒロ爺でした。そして、納竿時の釣果はヒロ爺51cmを頭に5匹・T君はやっと坊主を免れて46cm1匹でした。
今夜はヒロ爺に付きがあったがバラシも多かった。なぜか、大きいのを今夜はバラシて反省しきりです。(先日お店に寄りましたが、マコトさんは出かけられて奥さんが対応してくださいましたが良多1の白いのが品切れのようでした)
コテマリが満開になる頃は2桁の釣果が期待出来そうです。
風の釣り人
ヒロ爺
|
|---|
![]()
|
四月に入りやっと穏やかな日が・・・栃木県のKさんが今年も来た。4月3日・今日休みだからとどうしても連れて行ってと頼まれ明日、仕事なので今夜は10時までの釣行と言う事で浜名湖へ
1流し目にヒットしたのはKさん!そんな予感はしていたがやっぱり40cmの小型だが喜んだ!次にヒロ爺6回当たって釣れず、やっと来たのは、ソイだった。
そして、約束の時間せまる上げ潮の動き始めに2人同時にヒットさせる。
Kさん50cmをヒロ爺チョッと大きく53cmをゲットして納竿!
明日休みならもっと釣りたかったのにナ。コテマリの花がまだ咲かない咲き始めたら数も型も良くなるシーバス!楽しみです。
風の釣り人
ヒロ爺
|
|---|
![]()
![]() |
ご無沙汰しております。3月8日釣り仲間8名に手伝ってもらい船底掃除を・・
2009年の釣り開幕です。3月18日あまりに天気が良く暖かい、仕事中にラインを点検自宅に帰って食事もそこそこに浜名湖へ・・・・・
小潮なのに潮がすごく低い、今日の潮代わりは8時過ぎだ!ここまでやろうと決めていた。9時ゆっくりと上げ始めた潮に乗せて流す。来た!毎年最初の1匹は緊張と感激がある。45cm小さいがまるまる肥えている。銀ピカの魚体
そして2匹目今度はエラ洗いもなく船の周辺で突っ込み抵抗する。これが51cmの銀ピカの魚体が浮いた!ヒロ爺が思った通りのヒットに今日は満足!
早めの納竿。今年も幸先良いスタートになりました。
ヒロ爺も今年65歳年金も満額・リタイヤ無しの正社員・木曜・日曜休みの浜名湖の釣り!楽しんで今年も釣りまくります。よろしくお願いいたします。
|
|---|
![]()
![]() |
12月に入り暖かな釣り日和が続いた4日やっと休みに絶好な日にめぐり合えた。朝からそわそわ今日は釣るぞ!と気合を入れて3番航路へ
2投目で乗って来た。澄み切った水面からヒラメが見える。やった〜そしてなんと連続して同じようなサイズ42cm〜43cmが釣れる。
5匹目で釣友に連絡「何だか知らないがやたら喰うよ。来れないか?」残念ながら来れないとの返事こんな日は無いのにと思っていたらとたんに喰わなくなる。1瞬の地合だったのか?
今年はヒラメが多いですネこの分で行くと正月もつれ続く気がします。
風の釣り人
ヒロ爺
|
|---|
![]()
|
11/29今夜は息子のマー君と先日のオトチャンとナイトシーバスに出船。
息子と出船するのは久しぶりです。
思っていたより風があるが先ずは先日と同じポイント(3番航路)へ向かう。
漁多1で3回ほど流すが反応なし・・・。
ボラは飛んでいるので魚の活性は悪くないと思いつつルアー変更。・・・ヒット!です。
息子によってGOODサイズ(70cm)がネットインし一言「重っ!」
次は久しぶりの釣りで何とか釣ってもらおうと息子とタックル交換。
そしたら、思い通り今度は息子にヒット!。
無事ネットインし52cmのシーバスを釣ることができました。
その後オトチャンにチーバスが釣れましたが後が続かず帰路へ・・・。
|
|---|
![]()
|
|
昨日の風は本日お休みのようで・・・。
シーバス狙いで出船・・・、しかし午前中シーバスは何処へ。
昼食後、雨の降る前に再度出船・・・。
チーバスがスレで掛かったものの後が続かない。
風も無く穏やかな湖面に雨が落ちる音とルアーの着水音・・・。
1時間ほど静寂の中、待望のヒット!!^^V
シーバスと思いきやエラ洗いせず、近くへ着たらタイと判明。
久しぶりのクロダイかと思ったらキビレでした。
釣行日;2008年11月24日(月)
場所;三番航路
サイズ;38cm
by鈴木隆之
事後報告でーす。^^
去る11/15ナイトシーバス釣果
自分は58cm一本で
同船者のオトチャンが50cm一本
(ルアー初シーバス!!おめでとう!!
前日のリベンジできて良かったです)
ほかバラシ、ネットイン失敗あり(T_T)
前日と同じ場所でルアーはモチロン漁多1
|
|---|
![]()
|
水曜日の夜にいい思いをしたので懲りずに昨晩出船しました。
結果、水曜日に比べ反応は渋かったのですが
何とか1匹をゲット。
やっぱり思い通りにはいかないのが浜名湖。
今夜も出船できそうかなぁ・・・。
釣行日;2008年11月14日(金)
場所;三番航路
ルアー;漁多1
サイズ;63cm
by鈴木隆之
|
|---|
![]()
|
秋晴れが続く10月19日久しぶりに釣友の船で出漁!沖さんのホームページで見た朝倉さんのヒラメの釣果を見て行ってみようと云う事になり3番航路へ
1流し目に41cmのコチがヒット。そして、下げ潮に入り又も同サイズ位のコチ
そして、立て続けにヒラメ37cmが2匹が喰ってきた。
なんでヒロ爺だけが?と釣友は首をかしげる。目の前で見せ付けられて・・・・
とぼやく釣友にキット来るからと励ましながら続けてやっとヒットさせたコチ!
ところが、船べりで痛恨のバラシ。ヒロ爺にとっては最高釣友にとっては和尚だった忘れない1日になった。
風の釣人 ヒロ爺
|
|---|
![]()
|
今日は友達のY君と10時に待ち合わせして出船。
このサイトのヒロ爺殿のカワハギ情報を参考にさせ
ていただき目指すは3番航路へ。
結構な船団がいる中、数年ぶりのカワハギ釣り。
サイズはまあまあであるが数がのびない。
気分を変えて、マゴチ狙いで3番航路を北上・・・。
キター!!マゴチだぁ?
と思っていたら、何やら白っぽい魚影。
キビレ君でした。思わぬ外道に・・・でも満足です。
結果、カワハギ3枚、キビレ(38cm)1枚
Y君は初ルアーでしたが残念ながら本命現れず。
PS:ヒロ爺殿カワハギ情報ありがとうございました。
2008.10.18 by鈴木隆之
|
|---|
![]()
|
ご無沙汰しております。去年好調だった皮ハギ釣りに出てみました。
10月12日8時30分釣り場に着くと皮ハギ狙いの船が少ない!
今年はまだ、入っていないのか?釣れないみたいだな?アサリを餌に何度か打ち返していると本命のアタリ。今年もデカイ!
フグの猛攻を受けながら何とか午前中に7枚。数は釣れなかったが今年も大型の皮ハギが入っています。
風の釣り人 ヒロ爺 |
|---|
![]()
|
マゴチ狙いで出船したものの、ワームに残された歯形は
明らかにフグの痕跡。本命は何処へ・・・。
風もあまりなくポッパーでもやってみるか・・・ヒット?
と思いきや引きはないが抵抗はある???
上がってきたのは日の丸模様の風船(トラフグ)でした。
今日もこれでおしまいかな、と思いつつ8月に気持ちいい
思いをした3番航路へ行き、ミノーを投げること数回。
いきなりの強い引きでドラグが鳴り、これはグッドサイズの
シーバスと思い、慎重に寄せてくるも、近くにきてもエラ洗い
しないのでなんだろう?と思いつつネットイン。
頭に八の字でカンパチ(43cm)でした。
我輩の人生初ゲットの魚であり、小型でも引きが強く
楽しませてもらって、お刺身もおいしくいただくことができて
満足のいく一日でした。
2008.10.5 by鈴木隆之
|
|---|
![]()
![]() |
最近あまり調子が上がらなかったのですが、
雨が上がって、ネットで天気予報を確認して出航。
最初はクロダイ、キビレ狙いで・・・風が出たらマゴチでもと
思いつつ3番航路へ・・・。
途中、カモメさんやシーバスのボイルに遭遇。
トップでは、チーバスがヒットするものの期待以上の
サイズは見切られてしまいバイトしてきません。
ルアーをミノーに変更したところ、ヒット!ヒット!!
バラシもいくつかありましたが、写真の釣果となりました。
最初からミノーでやっていればもう少しゲットできたかも・・・
と思いつつ、結構楽しむことができて良かった良かった。
浜名湖の恵みに感謝感謝。
2008.8.24
35〜50cm 8匹
by 鈴木隆之
|
|---|
![]()
| お世話になります。イシヅカです。 先日購入したTASHI-RのLeven721早速今日17日に使ってきました。 夕方1時間、庄内湖に行って来ました。 なんとか、クロダイ35センチを釣ることができました。 ルアーがいつもよりよく飛んでポッピングがやりやすかったです。 |
|---|
![]()
![]() |
お世話になります。イシヅカです。 7月15日の午前中にポッパーをやりに鷲津周辺に行って来ました。 最近はルアーの後ろまでくるのですが何が悪いのかなかなか釣ることができませんでした。 今回なんとかポップライダーで46センチのキビレを釣ることができました。 今度釣ることができたらお店の方に行きますんでよろしくお願いします。 |
|---|
| グッドサイズいいですネー!これからが本番楽しみですネ by 店主 |
|---|
![]()
|
梅雨に入って天候が整わず欠航する日々が続いたが
今夜は(6月7日)無風で最高かな?とSさん・Nさんを誘い
3人で気合を入れて出漁したが・・・・
何と今日の渋りは何だ?アタリはあるものの乗らない。
キビレ釣りの船が多くて流れに乗せても突き当たる。3人共
疲れて岸に上がって1息入れたあと再挑戦
やっと来た魚も船べりで痛恨のバラシ、でも何とかヒロ爺に来た
57cmの体高あるシーバス・顔を見たからと本日は納竿した。
ヒロ爺
|
|---|
![]()
|
5月17日、豊橋のNさん今日は奥さん同伴で先日のリベンジ釣行です。
条件も調い満潮から下げ潮にかかった時Nさん「来た〜」と大きな声・・・
振り返ると竿が大きく曲がりチーバスでない。慎重にテンションを保ち浮かしてタモ入れする。感激しているNさんサイズを検寸59cmです。
今度は奥さんにアタリ!黒ソイが釣れて来た。ヒロ爺1回のアタリもなく釣らせる事に喜びが・・・なんて考えているとゴクンと遠い所でアタリ!何度のエラ洗いをしながら寄せたのは63cmでした。
記念撮影という事で新居駅で2人、ファイルサイズを小さく解像度が落としてあるままで撮ってしまったが送ります。見難かったらごめんなさい。
風の釣り人 ヒロ爺
|
|---|
![]()
|
5月7日沖さんに寄らせていただきマコトさんより色々教えていただきました。
昨夜は本当に有難うございました。今年はコチにも挑戦しようと思っています。
その後約束してあった栃木県のKさんと新居駅で合流。風が少し強いので8時まで待機。風が凪いだのでこの期に出漁を決める。
最初の1流し思ったより風を感じなく40cm前後がヒロ爺に2匹ヒット!そして、Kさんに船べり近くでゴボッと出たのは72cmのデブデブシーバス
新品のシーバスロットが弧をえがき突っ込まれながらも浮かした。
船に上がった魚体を見ながら興奮気味のKさん!本当に嬉しそうでした。
風で中止にしようと考えたが出て良かったな〜そして、ヒロ爺にも先日と同じような60cmが釣れたところで納竿としました。
風の釣り人 ヒロ爺
|
|---|
![]()
|
5月3日浜松祭りを他所に今夜も浜名湖の湖上に、先日豊橋のNさん、どうしてもリベンジをと同行。浜松のSさんと3人での釣行・・・
今夜も無風の様な穏やかな中Nさんに待望の1匹がでもチョッと小さい40cmだ!でもウグイじゃなくて嬉しいと喜んでくれた。
先日70cmを釣ってるSさん今夜は不調アタリもなく無常に過ぎていく
その間ヒロ爺60cm・40cm2匹をゲットその60cm体高あるヒラ鱸?料理の時も鱗が大きくチョッと違うように思うのだが、誠さんどうですか?
やっと来たSさんシーバスじゃなくソイだった。でも、坊主じゃないぞと納竿する
風の釣り人 ヒロ爺
|
|---|
![]()
|
4月30日今夜は風も収まって鏡の様な湖面静かに船が流れる。こんな夜は本当に釣りしてて良かったと至福の喜びを感じる。
今日の同行者は豊橋のNさん・浜松の可美住Nさん・WNさんを乗せて7時30分出漁。最初の1流しでヒロ爺に60cm・73cm・45cmたて続きヒット
そしてこの1流しが今夜の唯一の釣果だった。後は豊橋のNさんにウグイが、可美のNさんソイをタモいれ寸前でバラシ2人の残念そうな顔が今だに目に浮かぶ豊橋のNさん翌日仕事で11時前に納竿した。
ヒロ爺
|
|---|
![]()
|
お久しぶりです。今年はヒロ爺コテマリの花が咲かない前より早めの釣行
3月9日釣り仲間に手伝ってもらい船底塗料&整備して22日から釣行
最初の1匹女房のデジタルカメラの失敗で写っていなくて再度撮影したくとも頭を切断したあと・・・・投稿できない
その後順調に釣れているのに小型のシーバスが多いです。それでも昨夜(4月12日)は釣友に70cmが釣れました。久しぶりの釣果に大喜び、自分が釣ったより嬉しかった。
ヒロ爺は昨夜も小型ばかりで、2008年一応投稿いたします。今年もよろしくお願いします。
風の釣り人
ヒロ爺
|
|---|
| お久しぶりです。そろそろ日中でも大物が期待できそうですネ! by 店主 |
|---|
![]()
![]() |
12月1日 今期一番大きなマゴチが釣れました。餌はハゼ、大きさは69cm2.4kgも有りました。今年は何故かヒラメのサイズが小さく少々寂しいのですが代わりにメガマゴチが遊んでくれます。
1日以降も毎週のように50cmクラスのマゴチ・ヒラメが釣れ、年末に向けてラストスパートです。
信天翁U 船長 福井信明
|
|---|
| 投稿ありがとうございました。これからもよろしくお願いします。 by 店主 |
|---|
![]()
![]() |
皮ハギも群れが小さくなったのか数釣りが出来なくなり型も小型が多くなり、釣友も諦めたのか今度はハゼ釣りにしよう。
そんな訳で11月8日はハゼ釣りに出てみました。鷲津周辺を釣り移動しながらやってみました。大型のハゼが混じり楽しい1日を過ごすことが出来ました。
30匹を越えた処で料理の事を考え納竿
風の釣り人
ヒロ爺
|
|---|
| ハゼはこれから深場に溜まってくるんですよねー!楽しみです by 店主 |
|---|
![]()
![]() |
お世話になります。 イシヅカです。
24日に国道南にて、釣りました。
最近はサイズがなかなかでず、やっと納得のいくサイズが釣れました。
自己新記録の72センチでした。今度は80アップ??目指してがんばります。
|
|---|
![]()
![]() |
お久しぶりに投稿です。
ヒロ爺の釣友が船を新艇にしたので試乗を兼ねて皮ハギ釣りに出てみました。
先日魚群探知機で凸凹を探したポイントへ着く船団で入るところがありません。
それでも離れて深みがあります。アンカーを入れてすぐ良型が釣れてボチボチ釣れる。釣友2人も同じように釣れて・・・
楽しい釣ができました。ヒロ爺20匹
釣友二人共10匹でそれでも型がよく満足そうでした。
風の釣り人 ヒロ爺
|
|---|
| お久しぶりです。カワハギこれから楽しみですネ by 店主 |
|---|
![]()
![]() |
いつもお世話になります。イシヅカです。
先日24日、お店寄らしてもらったときはいろいろ教えてもらいありがとうございました。
あの後、風が強かったですが行って来ました。小さいですが大瀬にて2枚釣ることができました。
初クロ 25CMでした。次は40UP目指してがんばります。
また、よろしくお願いします。
|
|---|
![]()
![]() |
ホント久しぶりの報告です。
やっとこさ黒に巡り会えました。
サイズはともかく、うれしい一枚です。
この日は結構風が強くポイントも限られ
厳しかったのですが、突然何の前触れもなく
(波があって分からなかったのかも知れませんが・・)
やってきました。^^
タモに収まったのは30チョットの黒でした。
今度はやっぱ40以上がいいっすねー。
午後は息子と出船し、強風の悪条件の中、息子に
キビレがヒット!!しかし、タモ入れ前に痛恨のバラシ。
残念T_Tです。
2007/08/03 10:35
サイズ35cm
場所:雄踏 by鈴木隆之
PS.今日8/4午後息子と出船するもノーフィッシュ。
出船前、息子愛用ロッド(Boil Skipper)の
竿先が無常にも折れてしまい沖さんのお世話に
なりました。
|
|---|
| おめでとうございます。これからがクロ本番です。がんばりましょう! by 店主 |
|---|
![]()
![]() |
お世話になります。イシヅカです。
28日 朝2時間だけポッピングに行ってきました。
台風あとからなかなか釣れず、やっと釣れました
|
|---|
| サイズは43cm場所は鷲津だそうです。台風あとは皆苦戦していましたよ!今度はクロですネ…海で見かけたら声かけてください。 by 店主 |
|---|
![]()
![]() |
明日から入梅と言う予報を聞いて今夜がいいな〜と言う栃木県のKさんに急かされて出漁する。6月13日明日は同僚の変わりに休日出勤にもかかわらず午後9時30分までという約束で2度目の出漁に張り切るKさん。
張り切った分神様が見方!56cm・53cmと連続ヒットで大喜びです。3枚に下ろし冷凍にして栃木県の自宅まで送る予定だと言う
今夜はヒロ爺すくい役かな?1匹バラシて2回目は40cmゲット(トホホチーバスじゃん)そして、9時の放送が終わってタイムリミット前にがっちりヒットさせたのは今期最高76cmだった。
「さすが師匠と・・・」冷やかされて5年前は素人だったヒロ爺でしたヨ実を言うと船の上で絡んだ糸を直すのが仕事だったなんてチョッといえない。
風の釣り人 ヒロ爺
|
|---|
| 70cmオーバーが連日ヒットしています。今年はシーバス楽しめそうですネ! by 店主 |
|---|
![]()
![]() |
フィッシング沖店主 様
今週に入り、ポッパーの反応がすこぶるよくなりました。
キビレの36、シーバスの50、そして今回のクロダイの52と、絶好調です。
アタリはガバッという感じではなく、まだどれもおとなしめの反応ですが
ポッパーの後ろに「モヤッ」と反応があり、ドキッとさせられます。今回のクロダイは、まぐれなのです。なぜかというと本当はタコつりの予定でした。
思ったよりまだ下げ潮が効いていたので、ちょっと投げてみただけなのです。
1投目の着水と同時に反応が出たので、もう一度投げてみたら当たったんです。
でも、そんなことはどうでも良いです。なんせ自己最高の52pなんですから。
その後、予定通りタコつりをしましたが、3匹しか釣れませんでした。
隣では朝倉さんの船が、バンバン釣り上げてんのに・・・。
今度、エギを買いにいきます。
上げ潮でシーバスを狙おうと思ったけど雷が鳴り始めたので、しぶしぶ納竿。
P.S.ピンクのポッパー。昨年「こんな色で釣れんのかい?」と疑った僕が馬鹿だった。
もっと早く使っとけばよかった・・・。
キリ
|
|---|
| 釣りにまぐれはありませんよー!狙ったから釣れたのです!おめでとうございます。シーズンはこれから…またがんばって釣ってください! by 店主 |
|---|
![]()
![]() |
6月に入ってもヒロ爺の好調は持続しています。県外の初めてのシーバス釣りの人を連れての釣りが最近多くなりましたが坊主はありません。
6月6日今夜も新人との同行で出漁
先日40cmの小型が群れて10匹も釣った場所に1直線!でも、今夜はいません?小型でも釣れれば喜んでもらえると思ったのに残念でした。
でも、坊主はしないヒロ爺です。61cmがしっかりとルアーを半分呑んで上がってきました。
もう直ぐヒロ爺のシーバス釣りもキス釣りに変わります。昼夜は歳で出来ません昼のキスが始まると・・・・・
風の釣り人
ヒロ爺でした。
|
|---|
| 今年のシーバスは楽しみですね!ポッパーでキビレが釣れましたよー!デイゲームもチャレンジしてみてネ! by 店主 |
|---|
![]()
![]() |
今夜は(5月23日)小潮ですが、明日が休みで穏やかなので釣行!
先日より頼まれていた栃木県のKさん・豊橋のNさんが同行です。
ルアーが初めてのKさんビギナーライフとは本当です。初っ端ヒットさせました。45cmと小型ですが大喜びです。
次にNさんこれも40cm今夜は小型ばかりじゃんと思いきやヒロ爺に60cmが・・・
ヒロ爺小バス入れて3匹好調はまだ、まだ続いています。
風の釣り人
ヒロ爺
|
|---|
| いい感じですね!浜名湖の楽しさを皆に教えてあげてください。 by 店主 |
|---|
![]()
![]() |
派遣会社から若い人が来た。東京からきた彼はシーバスを釣りたくて!
やっと風が穏やかになった昨晩(5月16日)午後8時出漁。
釣れてくれと祈るヒロ爺に無常にも彼に釣れないでヒロ爺のところばかりにヒット
3匹釣ったところでルアーを(漁多ー1)彼に貸して2投目やっと来た(55cm)うれしそうな顔がやっと見られた。
ヒロ爺4匹目65cmを追加して納竿!
今日は雨、休みで思い切りのんびり出来そうです。今年のシーバスはデブばかりで引きも強い、楽しい釣が続いています。
風の釣り人
ヒロ爺 |
|---|
![]()
![]() |
フィッシング沖 店主様
いつもお世話になっています。
5月4日は、写真を撮っていただきありがとうございました。
その後「さあ下げの大物を釣るぞ!!」と再び出船しましたが、
どこを流して良いのか分からず、結局その日は坊主。
次の日も夜10時から下げを狙って行ってきました(行かせてもらいました。)
12時を過ぎてもアタリは何もありません。どこを流していいのかも
分かりません。しかし、最後の一流しでドラマが起こったのです。
今季最大のシーバス(71、68)がたて続けにヒット。嬉しかったです。
次は80アップを釣りたいなぁ。でも、調理するのが大変そう。
また、よろしくお願いします。
Kiri
|
|---|
| この調子でいけば80UPもすぐそこです。がんばれー! by 店主 |
|---|
![]()
![]() |
ヒロ爺出漁の度坊主なし!以前に誠さんの奥さんより「ヒロ爺に魚がついてくるんでしょう」と云われた事があったが、正に今年も今の所絶好調です。
5月3日風のやんだ8時ころより3匹
5月5日今日は無風の中先日通り過ぎて気になった所を攻めてまた3匹
女房の姉妹9人皆魚好き釣りまくっても処分出来てます〜ハハハハハ
風の釣り人 ヒロ爺
|
|---|
| この間は漁多ONE購入ありがとうございました。店にいたお客さん達が、あっ生ヒロ爺だと騒いでいましたよ!by 店主 |
|---|
![]()
![]() |
5月1日の19:30頃コウジ君と高ヤナギさんと出船しました
あわただしく行きましたが風が強くてボウズかもって思いました。。。
でも魚は活性高くて風雨がおさまってくるとアタリが多くて楽しかったです♪
思いの外大漁で満足です!!
漁多ONEの威力はすごいですね〜
他のルアーも三分の一の時間使用しましたが釣れなかったんですよ
普通ここまでドンピシャなルアーはないんですが
恐るべし漁多ONE
岐阜のkeipon
|
|---|
| あの風の中出て行ったあなた達は、スゴイです。Keiponさんまた遊びに来てくださいネ!漁多ONEもスゴイけど秋田君がすごいんだよ!きっと… by 店主 |
|---|
![]()
![]() |
4月30日
ヒロ爺快調!昨夜は釣友と2人で出船昨年は不調だった釣友も今夜は大満足でした。
ポイントに船のエンジンを止めて流して直ぐに釣友にヒット54cm次に50cmまたまた53cm3本連続ヒットに大興奮の友
連れて来て本当に良かった。その時ヒロ爺はバラシ2匹で無釣果だったがボチボチ、ヒット55cm。53cm。連続ヒットそして2匹を追加して明日二人共仕事だからと9時放送を聞いて納竿・2時間の釣行で本当に楽しいシーバスつりでした。
先日の投稿以後、72cmも釣ったし今年は皆を釣れ浜名湖を走ります。
浜松住 ヒロ爺でした。 |
|---|
![]()
![]() |
お世話になります。イシヅカです。初めて投稿します。
最近ルアーを始めたばかりでいろいろわからないことが多いのですが4月16日の朝まずめ一番鉄橋で45CMと61CMのシーバスを2匹釣りました。今年やっとのヒットでした。お店の方にも行きますんでいろいろルアーでの釣り方教えてください。
|
|---|
| おめでとう!ございます。これからもいろんな場所でチャレンジしてください。いつでも遊びに来てください待ってます。 by 店主 |
|---|
![]()
![]() |
今年も庭のコテマリが満開です。毎年この前でシーバスの写真を撮ってきたヒロ爺です。最初の釣果はいつもコテマリの花の前でこれが咲くとシーバスが釣れる。
今年もシーバスが釣れ出す。昨夜4月21日無風の中上げ潮でのポイントに入ると3投目でヒット!その後次々とアタッテ来る。今夜のルアーは「漁多ー1」の新色
今夜の当たりルアーで6匹をゲット54cmを頭に6匹はチョッと小さいが今年はこのサイズが多いですね。
風の釣り人
ヒロ爺でした |
|---|
| 投稿写真館の常連、ヒロ爺さん、お久しぶりです。またまた楽しい季節がやってきましたね!また投稿お待ちしています。 by 店主 |
|---|
![]()
![]() |
![]() |
初めて投稿します。 3/10 夜10時ごろ都田川河口付近のマリーナで 60センチのシーバス2匹釣れました。 今年初めての大物です。当たりはこの2回しか無かったですけど、良かったです。 電気浮きの流し釣りで餌は青を使いました。 今年は、ルアーにもチャレンジしたいと思ってます。 by村松 |
|---|
![]()
| 久しぶりの投稿になります。 11/11朝の雷雨がおさまって、午後から息子 と一緒にシーバスをターゲットに出船。 今年はあまり良い釣果が無くて、今日もさかなに 会えないのかなぁとつぶやきながら、村櫛ミオを 流しておりました。 少々小ぶりな34〜39cmのセイゴ3匹ですが とりあえずご報告まで。 by鈴木隆之 |
|---|
![]()
![]() |
月29日梅雨の合間にチョコっと浜名湖へ今日は船にいてもTシャツ1枚でも蒸し暑い
今夜は誰もいない上げ潮の流れが強いがボラがアチコチで跳ねて活性は良さそうだ
目的のポイント・・・来た!今夜の予感はピッタリあたって釣れて来たシーバスは久しぶりの70cm。最近はチーバス(小型シーバス)ばかりで釣り意欲も無くしていたがこれで吹っ切れた1匹でした。
今日は見たいテレビもあり1匹で満足!速攻で帰路につく
風のつり人
ヒロ爺 |
|---|
![]()
|
○ フィッシング沖様へ
お世話になります。諦めない釣師斉藤です。
投稿写真を送付させて戴きます。
【突然でもないか。。。。。】
釣れ始めたヨ!!との声に後押しされる前から狙っていました浜名湖のシーバス
と黒鯛。
去年の今頃を想い出してはトップでのルアーフィッシングのイメージをアップしてきまし
たがやっと釣れました。
6月10日(土)大潮下げ止まり、村櫛海水浴場にてシーバスをゲット。
狙った場所で狙った魚を釣り上げると、もー大変。よせばいいのに昼ご飯を食べて
今度は息子と一緒に午後の上げ潮狙い便となってしまいました。
1番航路、A航路を攻めるが音沙汰なしのため村櫛海水浴場へ戻り、様子を見る
つもりでポップライダー(黒金オレンジベリー)を思い切りポイントへ投げる。
かなり遠くに運ばれたルアーを意識しながら遅めのポッピングを2回位やった時、
突然持ちなれたボイルスキッパーに衝撃が走りリールが悲鳴を上げた。
瞬間的な思考回路で、「PEは新品」、「リーダーは張り替えたばかり」、ヨシ。
近くに寄せた魚を見たとき、デカイ、頭がデカイ、しかもクロだ。
何回ものされながら決して無理をしないやり取りの後、
無事にタモに収まった黒鯛(48cm)を船にあげ、何時もルターフィッシング
の極意を惜しげもなく教えてくれる師匠等に電話をしている時、幸せの絶頂感
の中にいる自分を感じた一日であった。
諦めない釣師 斉藤より
|
|---|
![]()
![]() |
ご無沙汰しております。ヒロ爺です今年はどこか違う浜名湖に戸惑っています。
毎年今の時期なら付いている場所にシーバスが居ない魚っ気がなくてボーズを3度やってしまった。
どうしても4月中には1本と昨夜4月26日残業を終わって8時過ぎより浜名湖に向かう微風の中静かな湖面を流しているとやっと来た!
久しぶりの感触に楽しんでユックリあげる
今夜は釣れるぞと思ったが後が続かずこの1匹だけで2時間・・・マァーいいか!
58cm・1k710の今年初のシーバスでした。
今年も何とか生きてる ヒロ爺でした。
|
|---|
![]()
![]() |
Fishing沖様
11日(金)は無風だったので、朝からそわそわしていました。「どこのポイントに行こうかなー。」と考えながら、結局近場で釣りました。潮が思っていたより速く、しかも浅くなっていて、釣れるかなーと半信半疑で漁多ONEをブンッ。「ンっ!!!! 」「よっしゃぁー!!」という感じです。しかも、30分だけで次から次へとヒットしてきました。釣れたのは55cm以上が3匹。しかし、2匹はビクの中からいつのまにか逃げてしまっていました。トホホ・・。 でも、次の日の夜も挑戦。風が強く釣りにくかったです。でもバラシはしましたが、竿が根元から曲がるほどの大物がいるということが分かりました。はやく新色、発売されないかなー。またよろしくお願いします。
Kiri
|
|---|
![]()
| (10月7日)金曜日 こんにちは、ついにやりました!クロ50cmオーバー今年目標としていた50なかなか釣れずに苦労した1匹、釣り上げ測定した瞬間、本当!マジにうれしかったです。釣った時は水がとてもクリアーでルアーに2匹もついてき、魚が自分から見え!おいおい来てるよーーズポ!クロが来るところから、釣り上げるまで本当に丸見えでかなり楽しかったです!あと、自分としては、ルアーの色は、何でもヒットしている感じで、ポイントや状況がよければ釣れるみたいかな!?詳しくは朝倉さんのDVDと釣りビジョンを見ると勉強になると思うよ!次はクロ55オーバーをつるどーーーーー! 中村賢征 |
|---|
![]()
![]() |
こんにちは皆さん。 1ヶ月ちょっとシーバス、クロダイに見放されていましたので 久しぶりの投稿になりますが、やっとルアーでクロダイを釣る ことができました。(^^)v 店主の独り言に「釣れない奴には原因がある。」 まさにこの1ヶ月、私には釣れない原因があったようです。 でもそこに現れた救世主がいます。 それは「朝倉良太さんのクロダイDVD」です。 (フィッシング沖&店主も出演、とにかくすごい!!。 参考になりました。良太さんありがとう!!) このサイトでも店主が紹介してますが、実はこのサイトに紹介 される1日前に某釣具店で見つけて(店主ゴメンネ)早速実行 したら今日の結果につながった次第です。 この調子でこれからも頑張ろうっと。 日時:9/3am 場所:1番航路 サイズ:34cm by鈴木隆之 |
|---|
![]()
![]() |
稲木名人の弟子高林です。4年間ボウズでしたが、店主のやさしいマコトさんが見るにみかねたのか、ある日、キビレファンなら誰でも知っている憧れの稲木名人に「稲木君〜、一人乗せてやってー。」快く了解してくれました。ついにこの日から私の爆釣モードが始まりました。
8月11日(木)PM7時、日頃快く外出させていただいている奥様を含め4人で出船しました。餌はユムシ25匹を武田みそに。
潮はまずまず。釣り始めから20分頃経過したところで小気味よい
ツンツンとのあたり。き、きーたー!待てよ待てよ俺待てよー。
とその後にグーンと強い引き。おしっ!掛かった。ガッと引き寄せ、船内に横たわるそれのヒレ、まさに黄金の輝き。キ・ビ・レちゃん。そこから5時間ほど気持ちの良いあたりを繰り返し、終わってみたら自身びっくりの大爆釣!こんなことってあるんですね。万歳浜名湖。
最後には後輩が45cm、1.5Kgを釣り上げフィニッシュ。ひざが震えてました。いやぁ〜、楽しすぎる!稲木さん、マコトさんに大感謝です!今後とも付いていきます。
|
|---|
![]()
![]() |
僕は村櫛小つりクラブ5年の、ヒサキです。
8月13日父さんと二人で船に乗って3番航路奥にあじ、さばを釣りに行きました。
大変風が強く波も高いのであきらめて村櫛航路に釣りに行きました。
そこは波もおだやかで上げ潮でした。
最初は全然アタリも無かったけど、いきなり僕のさおが”ビクーン”ときて
ものすごい引きでした。今までに釣った魚といえばハゼかメゴチぐらいでこんなに
強い引きを感じたことはありませんでした。なんとかリールを巻いて水面まで来た時、
”キラットひかり、タイだすごい”と思いました。父さんにタモ網ですくってもらい
大物”ゲット”釣った後もまだ手がふるえてる感じがしました。
父さんから、これはキビレだと教えてもらいました。
31cm、450g
柴田先生、次はもっと大物釣るぞ! 目標 1k!
|
|---|
![]()
![]() |
![]() |
ポップライダーを釣友と一緒に購入して黒鯛釣りに挑戦・・・昼間は暑いから夜にしようと言うのもやはり年寄り軍団だからかも知れない
夜でも釣れるのか?と出かける(8月4日)と最初の1流しでいきなり私と釣友に同時にヒット釣友は途中でバラシタが私は釣り上げたがチョッと小さい黒鯛33cmだった。
これで釣れる事が解って2流し目またアタルが針掛かりしない?次も?次も?何でだ!
誰か教えて!と叫びたい状態だった。
そして次の釣行(8月11日)期待を込めて行くと全然魚の気配なしで帰り際ガバッと来たのはシーバス63cmだった。トップライダー面白いルアーだけどどうしたら黒鯛が針掛かりするのか?悩んでるヒロ爺です
風の釣り人
ヒロ爺 |
|---|
![]()
![]() |
(8月6日)約2ヶ月ぶりにマダカをつりました。しかも自己新記録。ここまでの道のりはとても長く、潮の流れやストラクチャーを探して攻めても、釣れない日が続きました。そのたびにフィシング沖さんと中村さんにいろいろ教わり、大変お世話になりました。朝4時半出船。S字、3番鉄橋北、南、いろんな浅瀬を攻めてみました。外洋がシケているのか水は少し緑にごり。一緒に行ったおじさんが1投目でバラシてその後4時間弱は無反応・・・?の間カニを捕って遊んでいたらたもが壊れた。舞阪港内の放送に合わせて、8時15分に原爆の日の黙祷を(広島出身なので)して以降は、だんだんと潮が引き始めた。そしたらベイトが逃げていて、一気に釣りモードに!ポッパー(クロ金)をつけいろんなところへ投げてみた。しかし、ベイトの群れがどこかに行ってしまい、ちょっとあきらめた瞬間、「ゴンッ」という竿を持っていかれるアタリ。ばらさないように慎重に糸を巻いた。下に潜ってばかりいたのでクロかと思っていたら,大きなマダカでした。次回からの釣行がまた楽しみです。 Kiri |
|---|
![]()
|
「シーバス・黒鯛のいる場所を見つける方法を発見?」 7月3日朝9時頃、浜名湖3番航路で黒鯛(44cm)を釣る。ルアーで黒鯛を釣ったのは2匹目であり勿論ルアーはポップライダー(白赤)だ。シーバス・黒鯛がルアーで少し釣れるようになり、ちょっとでも自信がつくと人間というやつは厄介だ。もっと数を釣りたい。だがそう簡単には釣れてくれない。そこで「シーバス・黒鯛のいる場所を見つける方法」を新発見だ。とりあえず100円ショップでタコ糸及び風船のセットを購入。ヒットした魚の尻尾にタコ糸を結ぶ、そのタコ糸の先に風船をつけ断腸の思いで一旦浜名湖に放す。黒鯛の場合は赤色の風船、シーバスは青、勿論キビレは黄色だ。風船の大きさは付ける魚の大きさに合わせる。余った風船はネジリハジマキのタコ用に使う。海面に漂う風船を見つけたら思い切りルアーをキャストしてみて下さい。但し、釣れないからと言って魚も持ち帰りはご遠慮下さい。自分で釣った魚の刺身で飲む酒は最高なんだから!! 諦めない釣師 斉藤 |
|---|
![]()
![]() |
投稿写真館もチョッと賑やかになってうれしいですネヒロ爺も湖内にキスが入ってきてからはもっぱらキス釣り今年は大型が多く23cmもある奴も釣れて来て楽しんでいます。
そんな中最近知り逢った釣り人から奥浜名湖の釣りに誘われて初めて奥浜名湖の釣りを体験しました。
電気ウキの釣りでにわか仕立てで3.6mのちょい投げの竿にルアー釣りで拾った電気ウキを付けて挑戦でしたが33cmのキビレ2匹26cmを2匹と4匹の釣果を得ました
釣れていってくれた人はもう5年以上同じ場所での釣りをしている(仕事の関係で釣り場所がすぐそば)との事で6月26日の夜は41cmを頭に11匹釣ったと云ってきました。
陸っぱりから釣れて数も釣れるこんな場所もあるんだ!その人がいつでも来いよと言ってくれて・・・・
奥浜名湖の電気ウキの釣も楽しいまた、近い内に仲間を連れて行こうと思うヒロ爺です!
風の釣り人
ヒロ爺
|
|---|
![]()
![]() |
フィッシング沖 店主殿 6月26日 昨晩、息子とおじゃましてPop Rider2個購入しました者で鈴木隆之と申します。何かと用事があって、出船は午後2時を過ぎていました。残念ながら、息子は部活の試合で、父単独での釣行でした。最初3番ミオからやりましたが、流れ藻があって思うように出来ませんでした。4時を過ぎたあたりからA航路へ移動。いきなりダツがアタック。しかし針掛かりせず。その後、ルアーに反応する魚影があった。同じポイントを数回流したその時!ちょうど船首の影でヒットする所が見えなかったが、久しぶりに味わう魚の引き。何かな?と姿を見せたのは、本命クロダイではなくセイゴちゃんでした。その後も、数回流したけど反応はあるものの見送り状態でした。何はともあれ、浜名湖の船釣りルアーで釣った記念すべき最初の魚です。サイズは48cmと少し小ぶりでしたが、嬉しい一匹です。さすが地元浜名湖で開発されたPop Rider様様です。(^^)今までもよくHPを拝見させていただいておりましたが、コレを機会に釣れた時は投稿させていただきますので、よろしくお願いします。 先ずはご報告まで。 店主 ありがとうございました。 |
|---|
![]()
| 自己記録更新! 今日、浜名湖にシーバスを求めて出船。先週は、仕事の関係で、釣りには行けずわくわくしながら、ポイントへ到着、けれどもいつもと何かが違う・・・・。ルアーを投げても投げても反応が薄く追ってはくるもののヒットまでにはいたらずメジャーなポイントはどこも、もう魚がスレているのかな?と、思い庄内湖奥まで行きルアーを数投してみると、ルアーの後ろから何かが追ってきた!バシャバシャ!来たーー!すごい引きで糸が出て行く「デカイかも」と思い格闘し上げて測ってみると自己新記録(66cm)だった。(翌日69cmを釣り上げまたまた自己新)うれしー!今年フィッシング沖さんから出たルアー(ポップライダー)に変えてから調子がいいぞ!良く飛ぶし、アクションもしやすいので、とても扱いやすいです。最初はこんな形で本当に釣れるの?って半信半疑でした。だけど、もう何本もシーバスに会えましたポップライダー最高です。パソコンでメールがうまく送れずに遅くなってしまいましたが、また釣れたら持っていくのでその時はよろしくお願いします。 中村賢征 |
|---|
![]()
![]() |
ボウズが続いている。。。。。。 こうなるとルアーでシーバス・黒鯛を釣るなんて自信は体のどこを探しても見当たらない。長年の釣り仲間、よく一緒に行く息子も期待と共に呆れ顔だ。昨日の餌釣りであまった餌がクーラーボックスに氷と一緒に入っている。何も考えず足が浜名湖に向かう。ボートに積むのは餌釣り用釣り道具一式と未だ感動を共有したことのないルアーロッド(Boil Skipper)だ。A航路でシャローに向け買ったばかりのルアー(PopRider イワシカラー)を思い切り投げる。追い風でもありルアーは藻場を通りぬける感じで着水した。糸ふけを取り1回〜2回のアクションの時、天使はいきなり微笑んだ。横で自分のルアーを準備している息子は状況が飲み込めない。当の本人も突然の天使の訪問に対応がままならない。右方向ばかりに行く銀色の魚体が見えた。リールのドラグが何回か悲鳴を上げる。近くに寄ったシーバスを二人ではっきり確認したら又右に突っ走る。息子にタモ入れを頼み無事に船に上げた時、かかった時間はほんの数分、シーバスの大きさは60cmだが釣り上げた感動は今も続いている。今夜はシーバスの刺身とホッピーで乾杯。そうだ釣り仲間にも連絡しなくちゃ。やったぜ ベイビー。。 以上 諦めない釣師 斉藤 保 |
|---|
![]()
![]() |
5月21日町内の班長会議があり19時から出席した後 風が無いようだったので浜名湖へ・・・
新居駅に着いたとき丁度午後9時のお知らせのスピーカーが鳴っていた。
潮は下げ潮でもうかなり速く流れていて何処をながしてもアタリ無く2時間そろそろ帰ろうかと思ったとき待望のアタリ!
なんとこれが黒鯛35cm初めてルアーで釣った小さいけど綺麗な黒鯛だった
風の釣り人
ヒロ爺 |
|---|
![]()
|
「おじい2人が、こんな格好でルアーを振るなんて若い衆に見られたら笑われそうだナ」と話しながら仕事帰りの作業服のままで浜名湖へ・・・4月14日
昔、西伊豆の小下田の磯で瀬渡しの船の中に投げ込んだヒロ爺の3K位の石鯛3枚を見て「教えてほしい」と手土産を持って女房と一緒に家まで訪ねて来た奴が今・ここにいる。
あれ以来何十年も家族ぐるみの付き合い、色々な釣りをしてきた。浜名湖のシーバスも何とか釣れる様になったヒロ爺・彼を誘ったらシーバスロット(形ばかりの安価もの)をもって来る。新調したロットとルアー釣れてくれと釣友に祈る。そして
静かな海面をバシャと跳ねたのは彼がヒットさせた65cmのシーバスだった。初めての魚に大興奮!
釣りとはこんなものなんです。(人の出会いも)いつもそう思いながら、人生も釣り道も奥深いと感じるヒロ爺です。そして、ヒロ爺も昨夜65cmを釣ってご機嫌です〜
風の釣り人
ヒロ爺 |
|---|
![]()
|
やっぱり昨年と同じようにソイの釣果のあと4月6日・昨夜(4月9日)と連続シーバスの釣果に恵まれましたが少し小さいかな?
6日も9日も50cmメバルは27cmでした・また去年同様出漁の度にボーズ無しの記録7月まで続けたいと思っているヒロ爺です
風の釣り人
ヒロ爺
|
|---|
![]()
![]() |
やっと春らしく暖かくなった。ヒロ爺も今年初のルアーを振りに釣友と出撃!
4月2日の午後6時に新居駅で合流を約束したが釣行を拒む雨で意気消沈
それでも小雨になって、やる気満々の釣友に、せかされて3番ミオへ・・・
釣友が船べりでバラシタあと、さっぱりアタリもなく。帰りの1流しに漁多1をのみ込んできた34cmの黒ソイ
そう言えば去年も黒ソイ(42cm)からシーバスの連続釣果が始まったんだ!今年も釣れそうな予感がしますネ
風の釣り人
ヒロ爺
|
|---|
![]()
![]() |
寒くて・寒くて浜名湖にずいぶんご無沙汰して休みには温泉めぐりしていたが1月27日は久しぶりに静かで今日こそ行ってみよう支度して情報も無いまま出かける
ヒロ爺と同じで船の方もガタがきて少しバッテリが弱いかなと思ったが何とかエンジンスタート冷たい風を受けながら3番ミオ筋に1本アンカー・・・・試し釣りだとばかりに青蛇虫を針・めいいっぱい付けて投入
しばらくすると派手なアタリがでてフグかなと?思い巻くとな〜んと立派な46cmもあるカレイだった
後にも先にも、これ1匹の釣果だったが何だか大満足で帰ってきました。2005年の初釣果です。今年も皆さんよろしくお願いします
風の釣り人ヒロ爺 |
![]()
![]() |
ご無沙汰しています!なんだかんだと忙しく浜名湖にもチョッとご無沙汰でしたが今日(9月17日)カワハギ釣りに出てみました。13番ポールと15番ポールの中間点で水深3,5mのところで下げ潮始めに入れ食い状態で35匹ほど釣りました
型は手のひら位でまあまあです。近くにいた人は50匹位釣ったようです。
風の釣り人
ヒロ爺 |
![]()
![]() |
ホームページ今年からですが、良く拝見させて頂いております。 キビレ釣りに、とても参考になり、おかげさまで8/21(土)の夕方に ちょうど、2Kg(47cm)のキビレをあげることができました。 写真を添付させて頂きました。(後の剥製は関係ないですが、ちなみに57.6cmの 黒鯛です) 勝手にメールを、失礼致しました。 高橋 |
![]()
![]() |
夏休みで子供を連れてくる人が多くて子供の面倒を見ながらの釣りをしているヒロじぃですが昨日は久し振りに1人で出漁
「シーバスよりキス釣りを・・・」と言う女房に押し切られて今日もキス釣りに食材の為にポイントに入るといきなり22cmのジャンボハゼが釣れてくる。
先日は釣れなかったのにこの大潮から入ったのかキスと交互に釣れる状態になった
今年もジャンボなハゼ釣りが楽しめそうですよ
風の釣り人
ヒロ爺 |
![]()
![]() |
夏休みだ!浜名湖だ!台風10号の影響も少なく子供達との約束で今日はキス釣りに・・
8月1日南東の風が強くそれでも張り切ってる子供達を乗せて3番航路へ出る。ダバダバの海でもキス釣りなら何とかなる
かって探しておいたポイントへ第一投目から歓声があがる。その後も一荷で来る事が多い子ども達の釣りに満足そうな微笑をみた。
良型ばかり(23cm頭に30匹ばかり)釣ったあと今日は大潮なのでアサリ採りにも挑戦!本当に子供達にはかなわない
ヒロじぃ最近はシーバス釣りお休み(7月19日60cm2匹)後キス釣りに変更歳はとりたくないネ昼夜の釣りは無理じゃい。
風の釣り人
ヒロ爺
|
![]()
![]() |
7月1日
ヒロじぃ絶好調!月が変わってもこの悪運は落ちずに健在でした。10回出漁の度に坊主無し
旧暦で拾って潮を読む今夜は14日の潮で6時が下げ始めなのに8時を廻ってもダラダラ上げている???どうなってるんだ今夜の潮は????
やってられない!さかなっ気も無いし、これで連続記録も途絶えたと思ってると「来た!」元気のいい奴がラインを音を立てて引きずり出していく・・・そしてタモに納まった。
6月29日に続いてサイズも段々アップしている70cmオーバーしたらマコトさん寄らしてもらいます写真撮ってください。ヒロじぃのオモチャのデジカメでないやつで!
浜松住
ヒロじぃ |
![]()
![]() |
昨日「漁多1」を買いに寄らしてもらいました初めてお会いした奥さん可愛い人でビックリしました。(マコトさんは釣りに行ってるとの事でした)
何となく話してしまい余分な事までしゃべったかも???その後釣りに出ました最近出漁する度坊主ありません
奥さんにも言われた通りヒロじぃに魚がついて来るのかも?と思われるほど釣れる!昨夜大型バラシタけど50cmチョッとオーバーは3匹ゲットでした
良太さんにもメールでアドバイスもらっていますよろしく伝えてください。また、寄らしてもらいます。
浜松住
ヒロじぃ |
![]()
![]() |
今年はシーバスがヒロじぃのような素人でも釣れる。昨年釣れなくって悩んでいたのが馬鹿みたいだ
昨夜(5月27日)は無風で船が静かに流れるなか目的の場所に来ると静寂を破るバシャとくる!これがたまらない!
立て続けに3匹きた。先日よりもサイズもアップ65cmが頭でした。
沖さんにおじゃましてからヒロじぃから釣れないジンクスが消えた また、寄らしてください
浜松住
ヒロじぃ |
![]()
![]() |
連休の1日を久し振りに逢う釣友達と今年も釣れ出したキスを狙って21番ポール西側に入る
ファミリーの乗船する大型ボートから救命具をしっかり着込んだ子供連れボートなどなど賑やかだった
釣友のリールトラベルを治しているときキスが当たっていたがそのままにしていら
それを食って来たコチ
思わぬ外道に船内冷やかしの連続!!
浜松住
ヒロじぃ |
![]()
| 4月25日
マコトさん 釣れました 61cm・59cmの2匹です
「こんな遅くから大丈夫なの・・」と心配する女房に、先日のバラシは下げ潮のはじめだったからと説明して深夜に家を出る
そして、先日と同じ場所でヒット 今度は外してなるものかとダブルフッキング
2本のロットで他のルアーも付けていたが1度のアタリなくきたのは「漁多1」だけ本当に「漁多1」の良さを認識した夜でした
有難うございました こんどは70cmオーバーを(釣れるかな?)・・・
風の釣り人 hiro
|
![]()